- ООО "ТАМ РЕППО"

ТВОРЧЕСКАЯ АРХИТЕКТУРНАЯ МАСТЕРСКАЯ РЕППО
Перейти к контенту

Главное меню:

Уровень 22
 

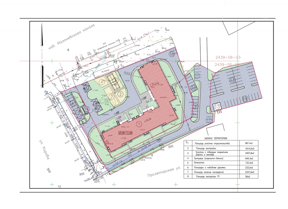
Проект жилого дома в г.Шлиссельбург, микрорайон Малоневский

арх. Реппо В.А. Клинова Т.Н.
при участии Реппо Ал.В.













арх. Реппо В.А. Клинова Т.Н.
при участии Реппо Ал.В.


 
Назад к содержимому | Назад к главному меню